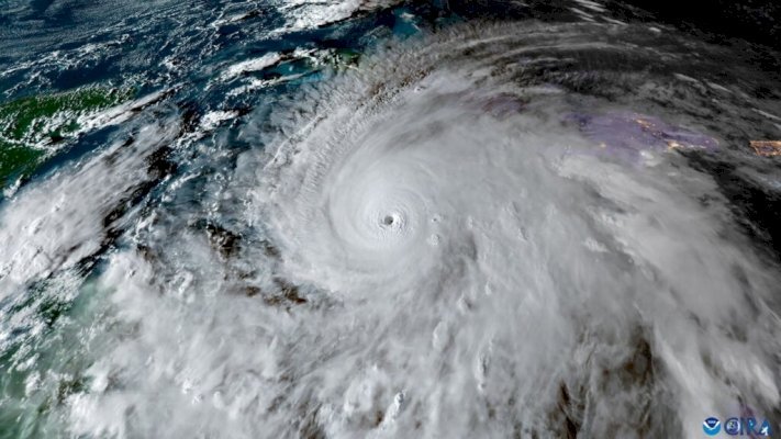
وصل الإعصار “ميليسا”، الذي خفض تصنيفه إلى الفئة الثالثة، إلى كوبا، اليوم الأربعاء، متسببا في تشريد أكثر من 700 ألف شخص، بعدما حرم نصف مليون من الكهرباء في جامايكا، التي أعلنت “منطقة منكوبة”. وتتراوح شدة إعصار “ميليسا” بين الفئتين الثالثة والخامسة، التي تعد أعلى فئة […]

الإعصار ميليسا يشرد أكثر من 700 ألف شخص في كوبا
شارك هذه المقالة









